
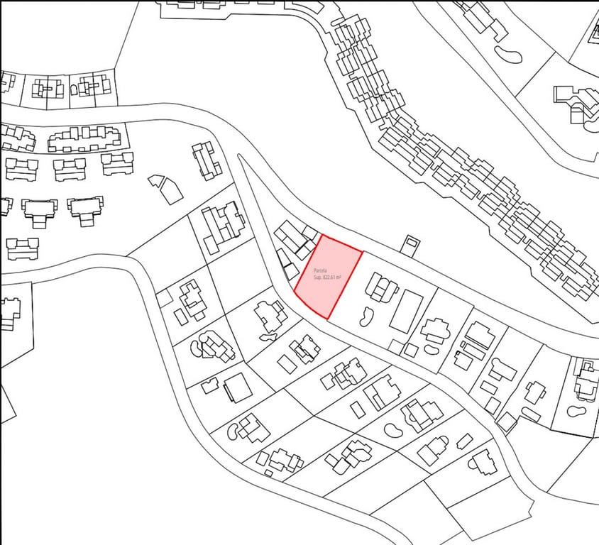
Imagine waking up every day to stunning unobstructed views of the Mediterranean Sea, the charming town of Altea and the vibrant skyline of Benidorm. This is your chance to make that dream come true with a plot for sale in the prestigious Altea Hills, a gated development with private security and 24/7 surveillance. Located in one of the most popular areas of the Costa Blanca, this plot offers an unrivalled opportunity to build the home you have always imagined. This plot of 823 square meters is s...
Ref #871248
This property is located in Altea, Costa Blanca, one of the most desirable neighbourhoods in the area.